聊到风力,大家都了解,有朋友问台风风力最大的部位是哪个地方二次,还有人问台风风力最大的部分是什么地方,这到底怎么回事呢?事实上台风中心为什么安全呢,以下是小编为你精心整理的台风风力最大的部位是哪个地方,希望我的回答能够帮到您。
台风风力最大的部位是哪个地方
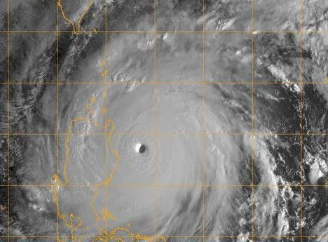
风眼墙。
风眼墙是环绕台风中心的云,也称“眼墙”。在风眼处,风比较平静,但是风眼边缘,却是风暴强度最强的地方,此即为“风眼墙”。
风眼墙在风眼周围的区域,包围着风眼呈圆桶状,为台风“风眼”四周的环状云区域,这里的风最快最强,对流非常强烈,是热带气旋风力最强的地方。

台风是一种破坏力很强的灾害性天气系统,其危害性主要有三个方面:
①大风。热带气旋达台风级别的中心附近最大风力为12级以上。
②暴雨。台风是带来暴雨的天气系统之一,在台风经过的地区,可能产生150~300毫米降雨,少数台风能直接或间接产生1000毫米以上的特大暴雨,如(间接)1975年第3号热带气旋登陆后倒槽在河南南部产生的特大暴雨,打破了部分地区的降雨记录(河南75.8事件)。
③风暴潮。一般台风能使沿岸海水产生增水,江苏省沿海最大增水可达3米。“9608”和“9711”号台风增水,使江苏省沿江沿海出现超历史的高潮位。
台风眼壁附近
22.台风风力最大的部位是____。
悬赏分:0 - 解决时间:2009-5-7 22:44
问题补充:A.台风眼 B.台风眼壁附近
C.台风云系外围 D.台风能影响所有区域
提问者: m8722557 - 试用期 一级 最佳答案
B
台风风力最大的位置
台风经过时常伴随着大风和暴雨或特大暴雨等强对流天气。风向在北半球地区呈逆时针方向旋转(在南半球则为顺时针方向)。在气象图上,台风的等压线和等温线近似为一组同心圆。台风中心为低压中心,以气流的垂直运动为主,风平浪静,天气晴朗;台风眼附近为漩涡风雨区,风大雨大。
有史以来强度最高、中心附近气压值最低的台风,是超强台风泰培(英语:Typhoon Tip,台湾译名:狄普),日本1979年的大范围洪灾就是由这个台风造成的 泰培与美国地图的大小比较。
台风哪个部位风力最大
风眼墙风力最大。
在风眼处,风比较平静,但是风眼边缘,风眼墙却是风暴强度最强的地方。风眼墙在风眼周围的区域,包围着风眼呈圆桶状,为台风“风眼”四周的环状云区域,这里的风最快最强,对流非常强烈,是热带气旋风力最强的地方。
有研究称“风眼墙”会出现新老交替现象,此为影响飓风强度的关键因素。老“风眼墙”外部的云会结合形成新“风眼墙”,老“风眼墙”消退时,飓风强度骤减,新“风眼墙”形成后,强度又会加强。研究人员说,在这种新老交替机制作用下,飓风强度会瞬间增强或减弱。

台风结构
台风眼区:非常奇特,那里风力很小,天气晴朗,平均直径为40千米,身临其中的海员风趣地称台风眼为台风的“世外桃源”。
云墙区:台风眼周围宽几十千米、高十几千米的云墙区,也称眼壁。这里云墙高耸,狂风呼啸,大雨如注,海水翻腾,天气最恶劣。
螺旋雨带区:云墙外是螺旋雨带,这里有几条雨(云)带呈螺旋状向眼壁四周辐合,雨带宽几十千米到几百千米,长几千千米,雨带所经之处会降阵雨,出现大风天气。
台风风力最大的部分是____
风眼墙。
风眼墙是环绕台风中心的云,也称“眼墙”。在风眼处,风比较平静,但是风眼边缘,却是风暴强度最强的地方,此即为“风眼墙”。
风眼墙在风眼周围的区域,包围着风眼呈圆桶状,为台风“风眼”四周的环状云区域,这里的风最快最强,对流非常强烈,是热带气旋风力最强的地方。

台风的危害:
1、强风:
台风伴有12级以上的强风,有可怕的摧毁力,能拔起一棵树甚至房屋.
2、暴雨:
台风伴随的暴雨会造成河堤决口或者水库崩溃,洪水泛滥,有淹没村镇农田等。
3、风暴潮:
风暴潮潮位可高处海平面5--6米,能破坏海堤淹没岛屿等可怕能力。
台风的预防:
1、交足手机话费,保持手机电力充足,预防在台风来临,可以通过手机联系或者求救.
2、船只应及时驶入避风港,台风前后不可驾船出海,避免台风走后返回.
3、气象台发出台风警报后,不要到海滩游泳或到台风经过的地区旅游,外出的人应尽快回家。
历史上最大的台风的最大风力是多少
1979年,泰培台风登陆日本(巅峰时期泰培的中心风力评估为306km/h)。截止到2019年3月,是有史以来最强的超强台风。
台风泰培是有纪录以来全世界综合情况最强烈的热带气旋,源于10月4日澎贝岛附近季风槽产生的扰动天气,是1979年太平洋台风季的第19场风暴和第12场台风。
泰培的发展和移动起初受到西北方向一场热带风暴的不利影响,但该风暴之后向北移动,泰培于是得以增强。掠过关岛后,气旋得以爆发性增强,于10月12日达到风速每小时305公里的最高强度,海平面气压低至870毫巴,刷新世界纪录。
美国海军陆战队在日本神奈川县开展的训练营因泰培间接引发火灾,致使13人遇难,68人受灾。该国其他地区还因这场台风引发大范围洪灾,导致42人丧生,海上还有许多船只沉没,至少44人死亡或失踪。

安全事项
尽量不要出门,保持镇静
在航空、铁路、公路三种交通方式中,公路交通一般受台风影响最大。如果一定要出行,建议不要自己开车,选择坐火车。
尽可能远离建筑工地
经过建筑工地时最好稍微保持距离,有的工地围墙经过雨水渗透,可能会松动;还有些地方正在进行建筑立面整治,人们在经过脚手架时,最好绕行。
还有一些围栏,也可能倒塌;一些散落在高楼上没有及时收集的材料,譬如钢管等,说不定会被风吹下;而有塔吊的地方,因为如果风大,塔吊臂有可能会折断。
保持消息畅通。注意广播或电视里的天气情况播报。准备一个可以用电池的收音机(还有备用电池)以防断电。准备蜡烛和手电筒。储备食物,饮水,电池和急救用品。固定或收回屋外、阳台上的一切可移动物品,包括玩具、自行车、家具等等。将盆栽或其他重物搬离窗户。
检查门窗是否密封。如果风力过强,即便关了窗户雨水仍有可能进入屋内,因此需要准备毛巾和墩布。如果风力过强,请远离窗户等可能碎裂的物品。如遇洪水,关闭家中一切电源、水源、煤气。台风过去后,仍要注意破碎的玻璃、倾倒的树或断落的电线等可能造成危险的状况。
提示: 受伤后不要盲目自救请拨打120急救电话
台风中外伤、触电等急救事故最多。外伤主要是头部外伤,被刮倒的树木、电线杆或高空坠落物如花盆、瓦片等击伤。电击伤主要是被刮倒的电线击中,或踩到掩在树木下的电线。不要打赤脚,穿雨靴最好,防雨同时起到绝缘作用,预防触电。
走路时观察仔细再走,以免踩到电线。通过小巷,也要留心,因为围墙、电线杆倒塌的事故很容易发生。高大建筑物下注意躲避高空坠物。发生急救事故,先打120,不要擅自搬动伤员或自己找车急救。搬动不当,对骨折患者会造成神经损伤,严重时会发生瘫痪。
台风(超强台风级)中心附近的最大风力是多少
一、较强台风超强台风(SuperTY):底层中心附近最大平均风速大于51.0米/秒,也即16级或以上。强台风(STY):底层中心附近最大平均风速41.5-50.9米/秒,也即14-15级。台风(TY):底层中心附近最大平均风速32.7-41.4米/秒,也即12-13级。二、弱台风强热带风暴(STS):底层中心附近最大平均风速24.5-32.6米/秒,也即风力10-11级。热带风暴(TS):底层中心附近最大平均风速17.2-24.4米/秒,也即风力8-9级。热带低压(TD):底层中心附近最大平均风速10.8-17.1米/秒,也即风力为6-7级。。。。。。。。。
为什么说台风中心附近最大风力而不是台风中
台风是一种强烈的热带气旋.
台风中心也叫台风眼.台风中心整个台风中气压最低的,气压流动困难,所以台风中心基本没有风.
台风中心附近指的是旋涡风雨区,风力大,雨也大,
所以说“台风中心附近最大风力”而不说台风中心最大风力。
世界上最大的台风在哪个国家,中心风力达到多少级
人类有记录以来登陆最强的超强台风是2013年第30号台风“海燕”,中心最高持续风速为每小时315公里,一度达到德沃夏克分析法中的T8.0。

2013年11月2日,在马绍尔群岛西南部海面上生成。
11月8日凌晨4点40分在菲律宾中部萨马省登陆,登陆时中心附近最大风速275KM/H(10分钟平均),305KM/H(1分钟平均)最大阵风达379KM/H,手持气压计达到878百帕。
11月11日早晨5时在越南广宁省下龙市沿海登陆,登陆时中心附近最大风力13级 (40米/秒)。
上午9时进入广西境内。
台风风力最大的部位
是中心边上,不是中心因为台风中心是没风的
